![]() |
(有)広瀬不動産 | ![]() |
||
| 物件名称 | 土地 | 価格 | 317.6万円 |
|---|---|---|---|
| 物件種別 | 畑 | 坪単価 | 20,000円 |
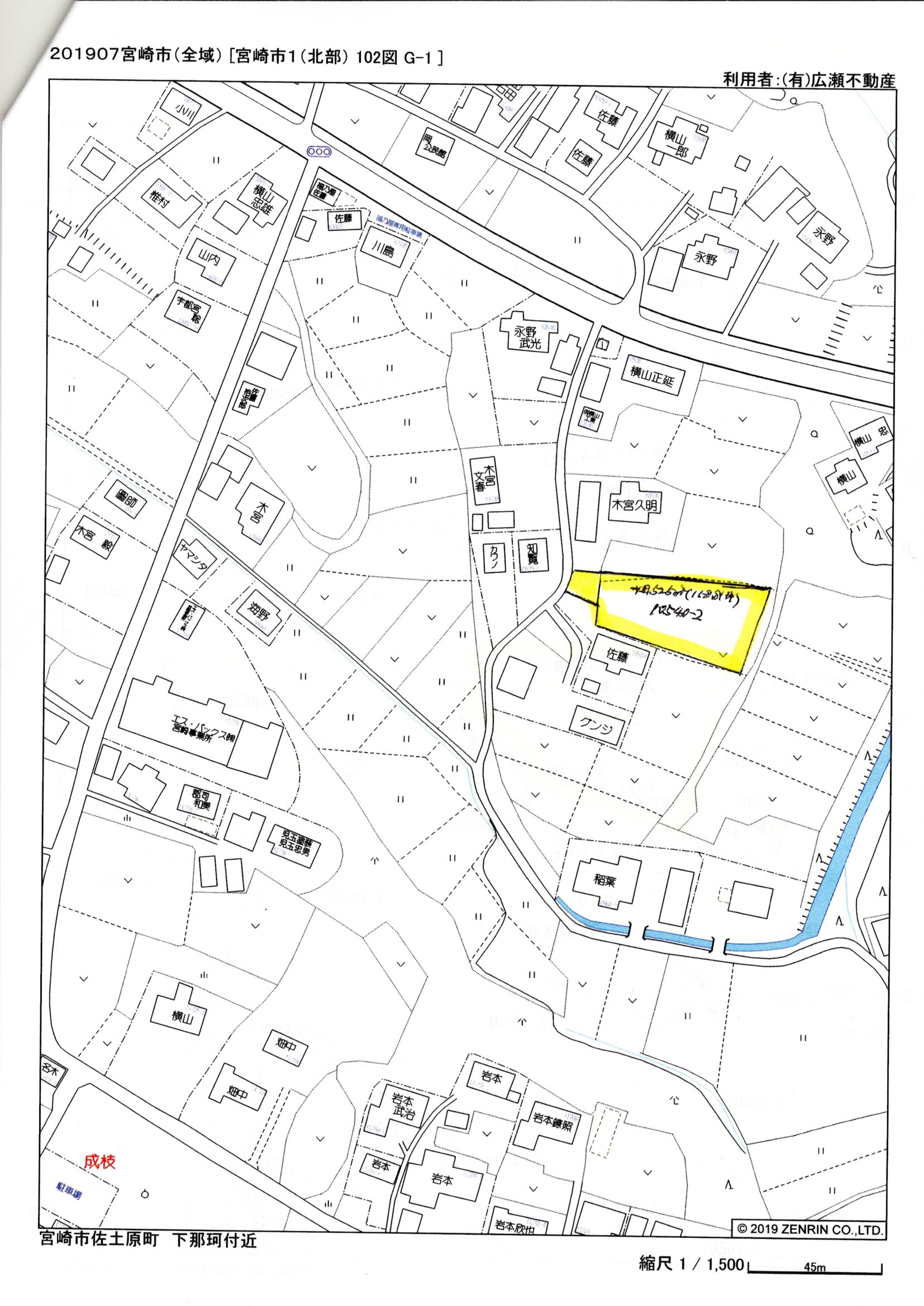
| 所在地 | 宮崎市佐土原町 下那珂字岡村 10540-2 |
土地面積 | 525u/158.81坪 |
| 交通 | 御殿下バス停より 徒歩25分 佐土原駅より 徒歩45分 |
建物 | なし |
| 地目 | 宅地 | 建/容 | 70%/200% |
| 都市計画 | 都市計画区域内 | 接道状況 | 西6m、間口7m |
| 用途地域 | 市街化調整区域 | 現状 | 畑 |
| 下水道 | 前面道路に施設 |
| 環境 | 閑静な土地です。 |
|---|---|
| 校区 | 広瀬西小、久峰中 |
| 備考 | 本物件は市街化調整区域内の畑の為、住宅建築可能な方は、近隣の農家の隠居・分家の方、広瀬西小卒業の方、又は、本物件近くの市街化調整区域に10年住まれた方、等です。 |
![]() |
![]() |
![]()
Copyright(C)2002 Hirosefudousan Co. All rights reserved.